Local Service Overview

Get Red Ant Extermination in Rowlett, TX

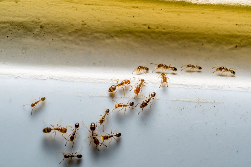
Red Ant Extermination services in Rowlett, TX, and nearby areas address pest infestations, including termites, ants, roaches, and rodents, through comprehensive pest control solutions.

Rowlett, TX

Red ant extermination services are essential for property owners in Rowlett, TX seeking to maintain a safe and comfortable living environment. These services help eliminate invasive ant populations that can threaten the safety of residents and pets, reduce the risk of bites or allergic reactions, and prevent potential damage caused by ant colonies nesting within structures. Addressing ant infestations promptly also contributes to a more functional outdoor space, allowing homeowners to enjoy their yards without the nuisance or concern of persistent pests.

Choosing professional ant extermination can also enhance curb appeal and durability of a property. Effective pest control reduces the likelihood of ant-related damage to landscaping, foundations, and other structures, which in turn minimizes ongoing maintenance needs. Additionally, a pest-free exterior helps preserve the aesthetic value of a property, making outdoor spaces more inviting and well-maintained for residents and visitors alike.

Get Red Ant Extermination Quotes

  • Red ant extermination services are needed when these pests invade homes or commercial properties in Rowlett, TX and surrounding areas.
  • Professional ant removal may be required if ants are establishing colonies outdoors near gardens, lawns, or building foundations.
  • Extermination services are useful for eliminating red ants in kitchens, pantries, or other indoor spaces where they are a nuisance.
  • Property owners might seek pest control assistance when red ants threaten landscaping or cause damage to structures.
  • Contacting local exterminators can help address red ant infestations promptly in neighborhoods across the region.

Get Red Ant Extermination Quotes

Red Ant Extermination
Red Ant Extermination
Red Ant Extermination

Red ant extermination services focus on eliminating red ants from residential, commercial, and outdoor properties. These services typically involve thorough inspections to identify ant colonies and nesting sites. Local pest control providers may use targeted treatments such as baits, sprays, or dusts designed to eradicate the entire colony, including the queen. The goal is to reduce or eliminate ant populations, preventing ongoing infestations and minimizing the risk of these pests returning.

Red ants can pose several problems for property owners. Their presence often leads to nuisance issues, as they can invade kitchens, gardens, and outdoor living spaces. In some cases, red ant bites may cause discomfort or allergic reactions in sensitive individuals. Additionally, large colonies can damage plants or disturb landscaping, and their nests may be hidden beneath the soil or within structures, making them difficult to control without professional assistance.

Properties that commonly seek red ant extermination services include homes, apartment complexes, restaurants, and outdoor recreational areas. Residential properties often experience red ant invasions in gardens, lawns, or near foundations. Commercial properties such as restaurants or food storage facilities may require pest control to prevent contamination or health code violations. Outdoor spaces like parks, playgrounds, or sports fields also benefit from professional extermination to maintain a safe and pest-free environment.

Engaging local pest control professionals for red ant extermination can help property owners effectively manage and prevent infestations. These specialists utilize proven methods and treatments tailored to the specific needs of each property. Regular inspections and targeted interventions can help maintain a pest-free environment, ensuring that red ants do not become a persistent problem. Contacting local providers is a practical step toward managing red ant issues efficiently.

The overview below groups typical Red Ant Extermination projects into broad ranges so you can see how smaller, mid-sized, and larger jobs often compare in Rowlett, TX.

In many markets, a large share of routine jobs stays in the lower and middle ranges, while only a smaller percentage of projects moves into the highest bands when the work is more complex or site conditions are harder than average.

Inspection Costs - Red Ant Extermination services typically range from $100 to $300 for initial inspections. The price varies depending on property size and infestation severity.

Treatment Expenses - Treatment costs generally fall between $200 and $600 per session, with larger or heavily infested properties tending toward the higher end of the range.

Follow-up Services - Follow-up treatments are often priced from $100 to $250, depending on the number of visits needed to ensure complete eradication.

Comprehensive Packages - Complete pest control packages may cost between $300 and $1,000, offering multiple treatments and ongoing monitoring for extensive infestations.

Actual totals will depend on details like access to the work area, the scope of the project, and the materials selected, so use these as general starting points rather than exact figures.

Get a Red Ant Extermination Quote

Ant Extermination - Local pest control providers offer specialized services to eliminate ant colonies and prevent future infestations in residential and commercial properties.

Termite Control - Service professionals provide treatment options to address termite activity and protect structures from potential damage caused by these pests.

Carpenter Ant Removal - Local experts use targeted methods to remove carpenter ants and repair any wood damage resulting from their activity.

Pavement Ant Treatment - Pros offer solutions to control pavement ant populations around building foundations and outdoor areas.

Fire Ant Management - Service providers implement strategies to reduce fire ant mounds and minimize their impact on outdoor spaces.

Wildlife and Pest Prevention - Local specialists assist with identifying and preventing ant-related issues that may attract other pests or wildlife.

Red Ant Extermination

When comparing Red Ant Extermination service providers, it’s important to consider their experience in handling ant infestations specific to residential properties. Reputable local pros often have extensive backgrounds in pest control, allowing them to identify the most effective treatment methods for your area. Gathering information about their years of service and areas of expertise can help ensure that the chosen provider has the practical knowledge needed to address your ant issues efficiently.

Clear communication and well-defined expectations are essential when working with pest control professionals. Reputable providers typically outline the scope of work, treatment procedures, and any necessary follow-up steps in advance. This transparency helps homeowners understand what to expect during and after the service, reducing potential misunderstandings and ensuring that the process aligns with household needs.

References from previous clients and reviews can serve as valuable indicators of a provider’s reputation and reliability. Local pros with a history of positive feedback often demonstrate consistent quality of service and professionalism. When evaluating options, it’s helpful to seek out references or reviews that highlight their responsiveness, clarity in communication, and effectiveness in eliminating ant problems, ensuring that the selected service provider is well-regarded within the community.

Get a Red Ant Extermination Quote

Property owners in Rowlett, TX use Red Ant Extermination services for practical projects around their homes and businesses. The sections below highlight everyday jobs and straightforward project options.

Red Ant Extermination
Red Ant Extermination

Red ant extermination services are often sought by property owners in Rowlett, TX when they notice persistent ant activity around their homes or yards. These pests can invade living spaces, especially during warmer months, leading to nuisance and potential property damage. Local service providers can assess the situation, identify ant colonies, and implement targeted treatments to eliminate infestations and prevent future occurrences.

Homeowners may also look for red ant extermination when they find mounds or trails in their lawns, gardens, or near foundations. Red ants can pose a risk of bites, and their presence may indicate underlying issues with pest control or sanitation. Engaging local experts ensures that the problem is addressed safely and effectively, helping to restore comfort and safety to residential properties in the area.

Get a Red Ant Extermination Quote

How do pest control companies handle red ant infestations? Local pest control providers typically assess the severity of the infestation and apply targeted treatments, such as baiting or insecticides, to eliminate red ants effectively.

Are there natural or chemical options for red ant extermination? Yes, service providers often offer both chemical treatments and natural solutions, allowing customers to choose based on their preferences and needs.

How long does red ant extermination usually take? The duration varies depending on the extent of the infestation and the treatment method used; a local professional can provide an estimated timeline during the consultation.

Will red ant treatments affect pets or children? Reputable providers use treatments designed to minimize risks to pets and children, but it's best to discuss specific concerns with the service provider beforehand.

How can I prevent red ant re-infestation? Local pest control experts can recommend ongoing prevention strategies, such as sealing entry points and removing attractants around the property.

Red Ant Extermination Services - Local pest control providers offer specialized treatments to eliminate red ants from residential and commercial properties.

Red Ant Detection and Inspection - Professionals can identify ant nesting sites and assess the extent of the infestation for targeted removal.

Red Ant Prevention Strategies - Service providers recommend methods to reduce attractants and prevent future infestations around the property.

Red Ant Extermination Techniques - Experts utilize various treatment options, including baits and barriers, to effectively control red ant populations.

Red Ant Extermination

Considering Red Ant Extermination for a property in Rowlett, TX? The sections above highlight common project types, practical options, and details that often shape the scope of work.

When you are ready, use the quote form to share a few details about your project. Local pros can review the basics and respond with options that match what you have in mind.

Get a Red Ant Extermination Quote

Red Ant Extermination Quotes

Our Trusted Partners
Cantu Pest Control
Orkin
Hawx Pest Control