Local Service Overview

Get Black Ant Extermination in Tarrant County, TX

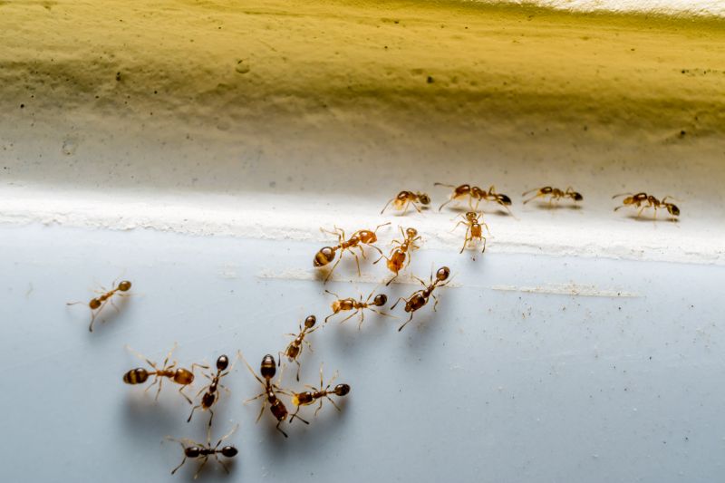
Black Ant Extermination services for Tarrant County property owners address ant infestations, including residential and commercial pest removal, prevention, and ongoing pest management.

Tarrant County, TX

Black ant extermination services are a practical solution for property owners in Tarrant County, TX seeking to maintain a comfortable and safe living environment. These services help prevent ant infestations that can disrupt daily routines, cause property damage, and create unsanitary conditions. By addressing ant issues promptly, property owners can enjoy a more functional space with reduced concerns about pests interfering with household activities or damaging structures.

Choosing professional extermination services also offers benefits related to durability and curb appeal. Effective treatments can lead to longer-lasting results, minimizing the need for frequent interventions and reducing ongoing maintenance efforts. Additionally, a pest-free property enhances visual appeal, contributing to a well-maintained appearance that supports overall property value and neighborhood aesthetics.

Get Black Ant Extermination Quotes

  • Black ant extermination services are needed when infestations occur in residential or commercial properties in Tarrant County, TX and surrounding areas.
  • Professional pest control providers can help eliminate black ants that invade kitchens, dining areas, or outdoor spaces.
  • Services may be required for ongoing prevention in areas prone to ant activity, such as near gardens or trash areas.
  • Ant extermination is often sought after when black ants become a persistent nuisance or threaten food safety.
  • Local experts can develop tailored treatment plans to address black ant problems in both urban and rural settings.

Get Black Ant Extermination Quotes

Black Ant Extermination
Black Ant Extermination
Black Ant Extermination

Black ant extermination services focus on eliminating infestations of black ants from residential and commercial properties. These services typically involve identifying the source of the ant problem, applying targeted treatments to affected areas, and implementing preventative measures to reduce the likelihood of future invasions. Professionals may use various methods, including baiting, perimeter treatments, and interior sprays, to effectively control black ant populations and prevent them from spreading further within a property.

Black ants can pose several issues for property owners. They often invade kitchens, pantries, and other areas where food is stored, leading to contamination concerns. Additionally, large ant colonies can cause structural damage by nesting in wall voids, insulation, or other hidden spaces. The presence of black ants may also indicate underlying moisture or sanitation issues that need addressing. Exterminating these pests helps restore comfort and hygiene within a property while reducing the risk of further infestations.

Properties that commonly utilize black ant extermination services include single-family homes, apartment complexes, restaurants, and commercial buildings. Residential properties often seek treatment to protect food supplies and maintain cleanliness, especially in kitchens and pantries. Commercial establishments, particularly those involved in food service, prioritize pest control to meet health regulations and ensure a pest-free environment for customers and staff. Even industrial facilities may require professional intervention to manage ant populations that could compromise hygiene standards.

Professional black ant extermination services are tailored to the specific needs of each property. Local pest control providers assess the extent of the infestation and determine the most appropriate treatment approach. They may also offer advice on sanitation practices and structural modifications to prevent future problems. Engaging with experienced service providers ensures that black ant issues are addressed efficiently, helping property owners maintain a clean, safe, and pest-free environment.

The overview below groups typical Black Ant Extermination projects into broad ranges so you can see how smaller, mid-sized, and larger jobs often compare in Tarrant County, TX.

In many markets, a large share of routine jobs stays in the lower and middle ranges, while only a smaller percentage of projects moves into the highest bands when the work is more complex or site conditions are harder than average.

Initial Inspection - The cost for a black ant extermination inspection typically ranges from $50 to $150. This fee covers a thorough assessment of the infested areas to determine the extent of the problem.

One-Time Treatment - A single treatment for black ant extermination generally costs between $100 and $300. Prices vary based on the size of the affected area and the severity of the infestation.

Ongoing Maintenance - Ongoing ant control services can range from $50 to $150 per visit. Regular treatments help prevent future infestations and maintain a pest-free environment.

Residential vs. Commercial - Costs for black ant extermination services differ for residential and commercial properties, with residential jobs typically costing between $100 and $250, while commercial projects may range higher depending on size and complexity.

Actual totals will depend on details like access to the work area, the scope of the project, and the materials selected, so use these as general starting points rather than exact figures.

Get a Black Ant Extermination Quote

Black Ant Extermination services are essential for removing infestations that can damage property and create health concerns. Local pest control providers can identify the extent of an ant problem and recommend effective treatment options.

Ant Control Treatments involve targeted applications to eliminate black ant colonies and prevent future invasions. Professionals use various methods to ensure thorough eradication and long-term control.

Indoor Ant Extermination services focus on eliminating black ants within residential or commercial buildings. Local specialists can treat entry points and nesting sites to reduce indoor activity.

Outdoor Ant Management includes treatments around the perimeter of properties to create a barrier against black ants. Experts can advise on landscaping and structural adjustments to minimize attractants.

Ant Prevention Services aim to reduce the likelihood of future infestations through inspection and sealing of entry points. Local pros can implement strategies tailored to specific property needs.

Emergency Ant Extermination services provide rapid response for severe infestations that require immediate attention. Local pest control providers can address urgent black ant problems effectively.

Black Ant Extermination

When selecting a professional for black ant extermination, it is important to consider the experience of local service providers. Pros with a proven track record in pest management typically understand the behaviors and habitats of black ants in the Tarrant County area and surrounding regions. An experienced contractor can often identify the most effective treatment methods and tailor approaches to specific property types, ensuring that the solution addresses the infestation comprehensively.

Clear communication and well-defined expectations are essential when working with pest control providers. Reputable local pros usually provide detailed information about their services, including the scope of work, methods used, and any necessary preparations. This helps homeowners understand what to expect during and after the treatment process, fostering transparency and trust throughout the engagement.

Reputable references and reviews from previous clients can offer valuable insights into a local provider’s reliability and quality of service. Homeowners are encouraged to seek out service providers with positive feedback related to pest extermination effectiveness, professionalism, and responsiveness. Open lines of communication, including prompt responses to inquiries and clear explanations of services, contribute to a positive experience and help ensure that the homeowner’s needs are met by qualified local professionals.

Get a Black Ant Extermination Quote

Property owners in Tarrant County, TX use Black Ant Extermination services for practical projects around their homes and businesses. The sections below highlight everyday jobs and straightforward project options.

Black Ant Extermination
Black Ant Extermination

Black ant extermination services are commonly sought by property owners in Tarrant County, TX, facing persistent ant invasions. These insects often enter homes and businesses in search of food and water, creating nests in wall voids, foundations, or outdoor areas. Property owners may look for professional assistance to eliminate existing colonies and prevent future infestations, especially when ant activity disrupts daily routines or compromises hygiene.

In addition to indoor concerns, property owners might consider black ant extermination to protect outdoor spaces like gardens, lawns, and patios. Ant colonies can sometimes cause damage by nesting in landscaping or interfering with other pest management efforts. Local service providers are frequently contacted to assess the situation, recommend appropriate treatment options, and ensure that ant problems are effectively managed to maintain the comfort and integrity of residential and commercial properties.

Get a Black Ant Extermination Quote

What are common signs of black ant infestations? Indicators include visible ant trails, small piles of dirt or debris near entry points, and the presence of tiny black ants inside or around the property.

Why should I consider professional black ant extermination? Professionals can effectively identify the extent of the infestation and use targeted treatments to eliminate black ants and prevent future problems.

Are black ants harmful to homes or health? While black ants are primarily a nuisance, they can contaminate food and surfaces, potentially leading to health concerns or attracting other pests.

How long does black ant extermination typically take? The duration varies depending on the severity of the infestation and the treatment method used by local service providers.

How can I prevent future black ant problems? Regular sanitation, sealing entry points, and scheduling routine pest control treatments with local pros can help reduce the likelihood of re-infestation.

Black Ant Extermination Methods - Local pest control providers can implement various techniques to effectively eliminate black ants from residential or commercial properties.

Preventive Black Ant Control - Professionals can advise on and apply strategies to reduce the likelihood of future ant infestations through targeted treatments and property inspections.

Black Ant Identification and Inspection - Local experts can accurately identify black ant species and conduct thorough inspections to locate nests and entry points.

Ongoing Black Ant Management - Service providers may offer continuous monitoring and maintenance plans to keep black ant populations under control over time.

Black Ant Extermination

Considering Black Ant Extermination for a property in Tarrant County, TX? The sections above highlight common project types, practical options, and details that often shape the scope of work.

When you are ready, use the quote form to share a few details about your project. Local pros can review the basics and respond with options that match what you have in mind.

Get a Black Ant Extermination Quote

Black Ant Extermination Quotes

Our Trusted Partners
Cantu Pest Control
Orkin
Hawx Pest Control