Local Service Overview

Get Black Ant Extermination in Dallas County, TX

Black Ant Extermination services for Dallas County property owners typically address ant infestations, including treatment of homes, yards, and commercial spaces.

Dallas County, TX

Black ant extermination services are a practical solution for property owners in Dallas County, TX seeking to maintain a comfortable and safe living environment. These services help prevent ant infestations that can disrupt daily routines, damage property structures, or contaminate food supplies. By addressing ant problems promptly, homeowners and business owners can enjoy a more functional space with reduced concerns about pests, ensuring peace of mind and a more enjoyable outdoor and indoor experience.

Choosing professional ant extermination can also enhance the durability and curb appeal of a property. Effective pest control minimizes the risk of structural damage caused by ant colonies and reduces ongoing maintenance needs. Additionally, a pest-free exterior contributes to a clean, attractive appearance that boosts overall property value. Engaging local service providers ensures tailored solutions that meet specific needs, helping property owners preserve their investments and enjoy a pest-free environment.

Get Black Ant Extermination Quotes

  • Black ant extermination services are needed when ants invade residential or commercial properties in Dallas County, TX and surrounding areas.
  • Services are sought to eliminate black ant colonies in yards, gardens, or indoor spaces to prevent infestations.
  • Professional exterminators are contacted when black ants become a persistent nuisance in nearby cities and neighborhoods.
  • Black ant removal may be necessary for property owners experiencing recurring ant activity despite previous treatments.
  • Experts can assist with black ant control in areas where outdoor and indoor ant populations threaten comfort and hygiene.

Get Black Ant Extermination Quotes

Black Ant Extermination
Black Ant Extermination
Black Ant Extermination

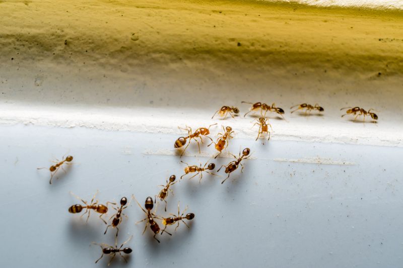
Black ant extermination services focus on identifying and eliminating infestations of black ants, which can invade residential, commercial, and industrial properties. These services typically involve thorough inspections to locate ant colonies and entry points, followed by targeted treatments using specialized insecticides. The goal is to reduce or eradicate black ant populations effectively, preventing further invasions and minimizing the nuisance caused by these persistent pests. Professionals may employ a combination of baiting, spraying, and barrier methods to ensure comprehensive coverage and lasting results.

Black ants can pose various problems for property owners, including structural damage, contamination of food supplies, and general discomfort. While black ants are generally not aggressive, their presence can be a sign of underlying moisture issues or other conditions that attract them. Infestations can lead to increased cleaning and sanitation efforts, as well as potential health concerns if ants contaminate food or surfaces. Exterminators help address these issues by removing the source of the infestation and implementing preventative measures to reduce the likelihood of future invasions.

Properties that commonly utilize black ant extermination services include single-family homes, apartment complexes, restaurants, and retail stores. Residential properties often seek treatment to protect food and maintain a comfortable living environment, especially during warmer months when ants are more active. Commercial properties, such as food establishments and grocery stores, prioritize pest control to comply with health regulations and ensure customer safety. Additionally, warehouses and manufacturing facilities may also engage professionals to manage ant populations that could compromise stored goods or production processes.

Professional black ant extermination services are essential for effectively managing infestations and preventing recurring problems. Local pest control providers offer tailored solutions based on the severity of the infestation and the specific property type. By addressing the root causes of ant activity and applying appropriate treatment methods, these services help maintain pest-free environments across various property types. Contacting local pros can provide property owners with the expertise needed to handle black ant issues efficiently and thoroughly.

The overview below groups typical Black Ant Extermination projects into broad ranges so you can see how smaller, mid-sized, and larger jobs often compare in Dallas County, TX.

In many markets, a large share of routine jobs stays in the lower and middle ranges, while only a smaller percentage of projects moves into the highest bands when the work is more complex or site conditions are harder than average.

Initial Inspection and Treatment - The cost for a black ant inspection and treatment typically ranges from $150 to $300. This includes identifying the extent of the infestation and applying targeted treatments. Prices may vary based on property size and severity.

Ongoing Pest Management - Monthly or quarterly pest control plans for black ant prevention generally cost between $50 and $100 per visit. These services help maintain a pest-free environment and may include multiple visits per year.

Per-Infestation Service - For a single black ant infestation, treatment costs can range from $100 to $250. This covers localized treatments aimed at eliminating active colonies in specific areas.

Additional Treatment Options - Integrated pest management strategies, such as baiting and barrier treatments, typically add $75 to $200 to the overall cost. These methods aim to prevent future infestations and may be recommended by local service providers.

Actual totals will depend on details like access to the work area, the scope of the project, and the materials selected, so use these as general starting points rather than exact figures.

Get a Black Ant Extermination Quote

Black Ant Extermination services are essential for property owners dealing with infestations that can cause damage and health concerns. Local pest control providers offer targeted treatments to eliminate black ants and prevent future invasions.

Residential Black Ant Control involves professionals addressing ant problems within homes, ensuring living spaces remain pest-free and comfortable. Local experts customize solutions based on the severity of the infestation.

Commercial Black Ant Management services help businesses maintain pest-free environments, protecting their reputation and compliance with health standards. Contractors utilize effective methods to control black ant populations in commercial settings.

Ant Inspection and Identification services assist in accurately diagnosing black ant issues, enabling local pros to develop appropriate treatment plans. Proper identification is key to effective eradication efforts.

Preventative Black Ant Treatments focus on reducing the likelihood of future infestations through barrier methods and ongoing monitoring. Local providers offer advice and solutions to keep properties ant-free long-term.

Emergency Black Ant Removal services are available for urgent infestations that require immediate attention to prevent further property damage or health risks. Contact local pest control specialists for rapid response options.

Black Ant Extermination

When selecting a professional for black ant extermination, it is important to consider their experience in handling ant infestations. Homeowners should inquire about the number of years a local service provider has been working in pest control, specifically with ant species common to Dallas County, TX. An experienced technician is more likely to understand the behavior of black ants and apply effective treatment methods. Additionally, reviewing the provider’s reputation through reputable references or customer feedback can offer insights into their reliability and quality of work.

Clear communication about service expectations is essential when working with a pest control provider. Homeowners should seek providers who can articulate their treatment approaches, what the process entails, and any preparations needed before treatment begins. Understanding these details helps set realistic expectations and ensures there are no surprises during or after the service. Reputable local pros typically provide detailed explanations and are willing to address any questions or concerns about the extermination process.

Reputable local pest control providers are often known through trusted references or word-of-mouth recommendations. Homeowners can ask for referrals or check reviews from previous clients in the Dallas County area to gauge the provider’s professionalism and effectiveness. Good communication, transparency about services, and a history of satisfied customers are key indicators of a reputable provider. It is advisable to contact multiple local pros to compare their experience, communication style, and references before making a decision.

Get a Black Ant Extermination Quote

Property owners in Dallas County, TX use Black Ant Extermination services for practical projects around their homes and businesses. The sections below highlight everyday jobs and straightforward project options.

Black Ant Extermination
Black Ant Extermination

Black ant extermination services are commonly sought by property owners in Dallas County, TX, dealing with persistent ant infestations. These pests can invade homes and businesses, especially during warmer months, leading to concerns about cleanliness and property damage. Local service providers offer targeted treatments to eliminate black ants and help prevent future invasions, making them a practical solution for those facing recurring ant problems.

Property owners may also look for black ant extermination when preparing to sell or rent a property, or after noticing increased activity around their premises. Ant infestations can impact the overall appearance and hygiene of a property, prompting residents and business owners to seek professional assistance. Local extermination specialists provide the expertise needed to address these issues efficiently and effectively.

Get a Black Ant Extermination Quote

What are common signs of a black ant infestation? Signs include visible trails of ants, small piles of dirt or debris near entry points, and tiny ants inside the home or on surfaces.

How do extermination services typically eliminate black ants? Local service providers often use targeted treatments such as bait stations, insecticidal dust, or sprays to eliminate black ant colonies.

Are black ants dangerous or harmful? Black ants are generally not harmful to humans but can be a nuisance and may contaminate food or surfaces they contact.

How can I prevent black ants from returning? Preventative measures include sealing entry points, keeping surfaces clean, and removing food and water sources that attract ants.

What should I do before a black ant extermination service? It’s recommended to clear the area of food and clutter and inform the service provider of any specific concerns or areas of activity.

Black Ant Extermination Solutions - Local service providers offer targeted treatments to eliminate black ants from residential and commercial properties.

Inspection and Identification - Professionals can assess infested areas to identify ant pathways and nesting sites for effective removal.

Preventive Measures - Service providers advise on sanitation and structural adjustments to reduce future ant invasions.

Ongoing Monitoring - Regular inspections and treatments help maintain ant-free environments and prevent re-infestation.

Black Ant Extermination

Considering Black Ant Extermination for a property in Dallas County, TX? The sections above highlight common project types, practical options, and details that often shape the scope of work.

When you are ready, use the quote form to share a few details about your project. Local pros can review the basics and respond with options that match what you have in mind.

Get a Black Ant Extermination Quote

Black Ant Extermination Quotes

Our Trusted Partners
Cantu Pest Control
Orkin
Hawx Pest Control