Local Service Overview

Get Red Ant Extermination in Collin County, TX

Red Ant Extermination services for property owners in Collin County, TX, typically address pest infestations such as ants, termites, roaches, and rodents through targeted treatment and prevention projects.

Collin County, TX

Red ant extermination services are a practical solution for property owners in Collin County, TX seeking to protect their homes and businesses from invasive pests. These services help prevent damage to structures, reduce the risk of bites or allergic reactions, and eliminate the nuisance caused by ant colonies. By addressing infestations promptly, property owners can maintain a comfortable and safe environment, ensuring their spaces remain functional and enjoyable for residents, employees, or visitors.

Choosing professional ant extermination also offers benefits such as enhanced curb appeal and reduced ongoing maintenance. Removing ant problems can help preserve landscaping and exterior features, while preventing future infestations minimizes the need for repeated treatments. This contributes to a more durable and visually appealing property that supports long-term comfort and usability for those in Collin County, TX.

Get Red Ant Extermination Quotes

  • Red ant extermination services are needed when colonies become large and pose a nuisance around residential or commercial properties. Professionals can assist in eliminating infestations in neighborhoods across Collin County, TX and neighboring areas. Ant control may be required if ants invade kitchens, pantries, or outdoor spaces. Local pest control providers can help prevent future red ant outbreaks in affected yards or structures. Prompt intervention is recommended for persistent or widespread ant activity around homes or businesses.

Get Red Ant Extermination Quotes

Red Ant Extermination
Red Ant Extermination
Red Ant Extermination

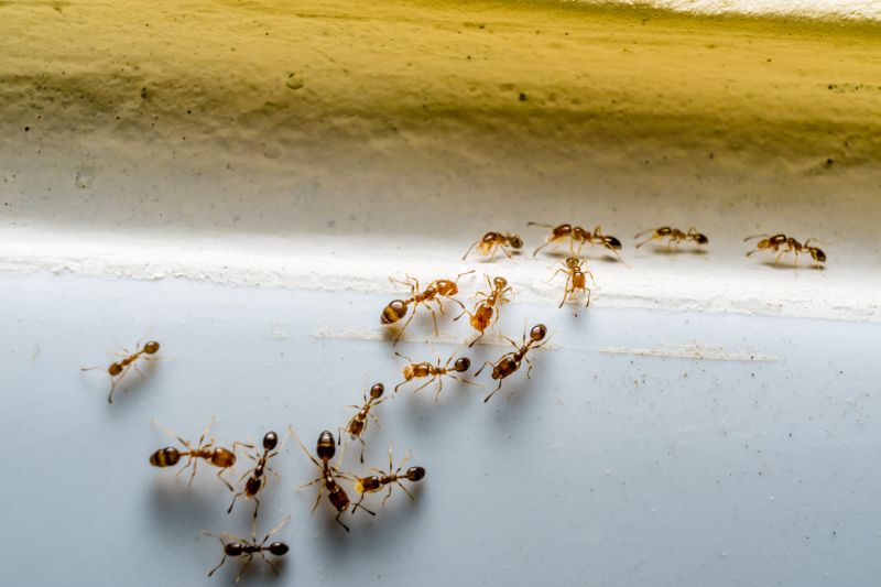
Red ant extermination services focus on identifying and eliminating red ant colonies that invade residential and commercial properties. These services typically involve thorough inspections to locate active nests and determine the extent of the infestation. Treatment methods may include targeted application of insecticides, baiting systems, and barrier treatments designed to prevent red ants from re-establishing colonies. The goal is to reduce or eradicate red ant populations, preventing further invasions and damage to property structures and landscaping.

Red ants can pose various problems for property owners, including the potential for aggressive bites, damage to plants, and the disruption of outdoor activities. Their nesting habits often lead to the formation of large colonies that can quickly spread across yards, gardens, or building foundations. In some cases, red ants may also invade indoor spaces, creating unsanitary conditions and nuisance issues. Extermination services help mitigate these concerns by removing the colonies and implementing preventative measures to keep red ants from returning.

The types of properties that typically utilize red ant extermination services include single-family homes, apartment complexes, commercial buildings, and agricultural sites. Residential properties often seek these services to protect outdoor living spaces and gardens from infestations. Commercial establishments, especially those involved in food service or hospitality, may also require red ant control to maintain hygiene standards and customer comfort. Agricultural operations may engage pest control providers to prevent red ants from damaging crops or affecting livestock.

Professional red ant extermination services are designed to offer long-term solutions for property owners facing persistent ant problems. These services are tailored to the specific needs of each property, considering factors such as the severity of the infestation, the layout of the property, and environmental considerations. By working with local service providers, property owners can access targeted treatments and preventative strategies aimed at reducing red ant populations and minimizing future invasions.

The overview below groups typical Red Ant Extermination projects into broad ranges so you can see how smaller, mid-sized, and larger jobs often compare in Collin County, TX.

In many markets, a large share of routine jobs stays in the lower and middle ranges, while only a smaller percentage of projects moves into the highest bands when the work is more complex or site conditions are harder than average.

Initial Inspection - The cost for a comprehensive inspection of a property typically ranges from $100 to $300, depending on the size and complexity of the property. Larger or more infested properties may incur higher fees. Contact local pros for precise estimates.

Basic Treatment - Standard pest extermination services generally cost between $150 and $400 for a single treatment. Pricing varies based on the type of pests and the extent of the infestation. Local service providers can provide tailored quotes.

Multiple Treatments - For ongoing pest control, multiple-treatment packages often range from $300 to $800. This includes follow-up visits and preventative measures. Costs depend on property size and pest severity.

Specialized Extermination - Treatments for specific pests like termites or bed bugs may cost between $500 and $2,000. These services often require specialized techniques and equipment. Local pros can advise on the appropriate cost for targeted pest issues.

Actual totals will depend on details like access to the work area, the scope of the project, and the materials selected, so use these as general starting points rather than exact figures.

Get a Red Ant Extermination Quote

Ant Extermination - Local pest control providers offer specialized services to eliminate red ants from residential and commercial properties in Collin County, TX. They utilize targeted treatments to address ant infestations effectively.

Carpenter Ant Removal - Service providers in the area can identify and remove carpenter ants that may cause structural damage, using methods suited to the severity of the infestation.

Fire Ant Control - Local exterminators provide fire ant treatment options to reduce populations and prevent future outbreaks in yards and outdoor spaces.

Sugar Ant Eradication - Pros are equipped to handle sugar ant infestations, offering solutions that focus on eliminating colonies and preventing recurrence.

Pavement Ant Services - Local pest control experts can treat pavement ant issues, ensuring they do not spread into indoor areas or cause damage to property foundations.

Odorous House Ant Removal - Service providers can effectively target odorous house ant colonies, helping to restore comfort and hygiene in affected spaces.

Red Ant Extermination

Red ant extermination services are provided by local professionals with varying levels of experience. When comparing options, it’s important to consider how long a contractor has been operating in the area and their familiarity with local red ant behavior and habitats. Experienced service providers often have a better understanding of effective treatment methods and can tailor their approach to specific property types and environments. Verifying the background and history of a local contractor can help ensure that the chosen professional has a solid track record in red ant control.

Clear communication and well-defined expectations are essential when selecting a pest control provider. Reputable local pros typically outline their treatment processes, what homeowners can expect during and after the service, and any necessary follow-up steps. Ensuring that the service provider communicates openly about their methods and addresses homeowner questions can lead to a smoother experience and more satisfactory results. Homeowners should seek professionals who are transparent about their procedures and willing to provide detailed information about their approach.

Reputable references and positive feedback from previous clients are valuable indicators of a trustworthy local extermination service. Many service providers can furnish references from past customers in the neighborhood or area, demonstrating their ability to deliver consistent results. Additionally, local pros with a strong reputation often have reviews or testimonials that highlight their professionalism, reliability, and effectiveness. When evaluating options, it’s helpful to consider these references and feedback to identify service providers known for quality work and dependable communication.

Get a Red Ant Extermination Quote

Property owners in Collin County, TX use Red Ant Extermination services for practical projects around their homes and businesses. The sections below highlight everyday jobs and straightforward project options.

Red Ant Extermination
Red Ant Extermination

Red ant infestations can become a common concern for property owners in Collin County, TX, especially during warmer months when these pests are most active. Homeowners and business owners may seek professional extermination services to address unexpected ant mounds in lawns, garden beds, or around building foundations. These services are often used to prevent ants from entering indoor spaces, protecting both property and personal comfort.

Property owners might also look for red ant extermination when noticing increased activity or damage caused by these pests. Red ants can sometimes pose a nuisance or even a threat if they build nests near entry points or in areas frequented by residents. Engaging local pest control providers can help manage and eliminate ant populations effectively, maintaining a safe and pest-free environment.

Get a Red Ant Extermination Quote

How do I know if I have a red ant infestation? Signs of red ant activity include visible ant trails, mounds in the yard, and ants entering indoors near food sources or entry points.

Are red ants dangerous? Red ants can deliver painful stings and may cause allergic reactions in some individuals, so it's advisable to address infestations promptly.

What methods do exterminators use to eliminate red ants? Local service providers typically use targeted treatments such as baiting, residual sprays, and barrier applications to control red ant populations.

How long does red ant extermination usually take? The duration varies depending on the severity of the infestation, but most treatments can be completed within a few hours.

Can I prevent future red ant problems? Proper sanitation, removing food sources, and sealing entry points can help reduce the likelihood of future infestations, with guidance from local pest control experts.

Red Ant Extermination Services - Local pest control providers can assess infested areas and develop targeted treatment plans to eliminate red ants effectively.

Inspection and Identification - Pros can identify ant nesting sites and determine the extent of the infestation to recommend appropriate removal strategies.

Barrier Treatments - Service providers may apply residual barriers around structures to prevent red ant colonies from re-establishing.

Ongoing Monitoring - Local experts can offer follow-up inspections to ensure red ant activity remains under control and prevent future outbreaks.

Red Ant Extermination

Considering Red Ant Extermination for a property in Collin County, TX? The sections above highlight common project types, practical options, and details that often shape the scope of work.

When you are ready, use the quote form to share a few details about your project. Local pros can review the basics and respond with options that match what you have in mind.

Get a Red Ant Extermination Quote

Red Ant Extermination Quotes

Our Trusted Partners
Cantu Pest Control
Orkin
Hawx Pest Control