Local Service Overview

Get Ants Extermination Service in Mesquite, TX

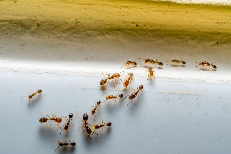
Ants extermination services for property owners in Mesquite, TX, and nearby areas address ant infestations, prevent future invasions, and handle residential and commercial pest control projects.

Mesquite, TX

Ants extermination services are a practical solution for property owners in Mesquite, TX seeking to maintain a comfortable and safe living environment. Effective ant control helps prevent infestations that can disrupt daily activities, damage property, or compromise hygiene standards. By addressing ant problems promptly, homeowners and business owners can enjoy a more functional space, free from the nuisance and potential health risks associated with these persistent pests.

Choosing professional ant extermination services offers several benefits, including enhanced durability of pest control efforts and reduced long-term maintenance. Proper treatment can help preserve the integrity of structures and landscaping, while also boosting curb appeal by keeping properties free of unsightly ant activity. Reliable pest control providers focus on delivering results that support the overall comfort, safety, and appearance of properties in the Mesquite community.

Get Ants Extermination Service Quotes

  • Ants Extermination Services are essential when dealing with persistent ant infestations in residential or commercial properties.
  • These services are often needed in areas experiencing seasonal ant activity or sudden increases in ant populations.
  • Ant control may be required in homes, restaurants, or warehouses to prevent damage and maintain hygiene standards.
  • Properties near wooded or grassy areas, such as parts of Mesquite, TX, may require regular ant prevention treatments.
  • Professional extermination can help address ant problems caused by nearby landscaping or structural vulnerabilities.

Get Ants Extermination Service Quotes

Ants Extermination Service
Ants Extermination Service
Ants Extermination Service

Ants extermination services involve the identification and removal of ant colonies within residential, commercial, or industrial properties. Professionals typically conduct thorough inspections to locate nests and determine the species of ants involved. Treatment methods may include the application of targeted baits, insecticides, or barriers designed to eliminate existing colonies and prevent future infestations. These services aim to address ant problems efficiently, reducing the nuisance and potential damage caused by these pests.

Ant infestations can create significant issues for property owners, including disruption of daily activities, damage to structures, and contamination of food supplies. Certain ant species, such as carpenter ants, are known to cause structural damage by hollowing out wood, while others may invade kitchens and pantries, leading to hygiene concerns. Exterminators help mitigate these problems by implementing strategic pest control measures that focus on both immediate eradication and long-term prevention.

Properties that commonly utilize ants extermination services include single-family homes, apartment complexes, restaurants, and retail spaces. Residential properties often seek assistance when ant populations become overwhelming or when they are found nesting inside walls or under flooring. Commercial properties, especially those involved in food handling or storage, prioritize pest control to maintain hygiene standards and comply with health regulations. Additionally, property managers and business owners recognize the importance of regular pest management to uphold a pest-free environment.

Professional ant extermination services are tailored to the specific needs of each property type and infestation level. Local service providers employ a variety of techniques to effectively manage ant populations, whether through perimeter treatments, interior spot treatments, or ongoing monitoring programs. Contacting experienced pest control specialists can help property owners address ant problems promptly, ensuring a cleaner, safer environment for residents, employees, and visitors.

The overview below groups typical Ants Extermination Service projects into broad ranges so you can see how smaller, mid-sized, and larger jobs often compare in Mesquite, TX.

In many markets, a large share of routine jobs stays in the lower and middle ranges, while only a smaller percentage of projects moves into the highest bands when the work is more complex or site conditions are harder than average.

Initial Inspection Cost - Typically ranges from $50 to $150 for a professional assessment of ant infestations. Prices may vary based on property size and complexity of the inspection.

Treatment Service Fees - Standard ant extermination treatments generally cost between $150 and $300. The total depends on the extent of the infestation and the treatment method used.

Preventive Barrier Application - Applying preventative barriers can add $100 to $250 to the overall cost. This service helps to reduce future ant activity around the property.

Recurring Service Costs - Ongoing or quarterly treatments typically range from $100 to $200 per visit. These services aim to maintain ant control over time and prevent re-infestation.

Actual totals will depend on details like access to the work area, the scope of the project, and the materials selected, so use these as general starting points rather than exact figures.

Get an Ants Extermination Service Quote

Ants Extermination services involve professionals who specialize in identifying and eliminating ant infestations in residential and commercial properties in Mesquite, TX and nearby areas.

Local ant control providers use targeted treatments to remove ant colonies and prevent future invasions, ensuring a pest-free environment.

Experts in ant extermination assess property conditions to determine the most effective removal strategies tailored to each situation.

Service providers may offer ongoing monitoring and prevention solutions to help maintain ant-free spaces over time.

Ants Extermination services are suitable for a variety of property types, from single-family homes to larger commercial facilities.

Contacting local ant control specialists can help address infestations promptly and efficiently, minimizing disruption and damage.

Ants Extermination Service

When comparing ant extermination services, experience is a key factor to consider. Local professionals often have extensive knowledge of ant behavior and common infestation patterns specific to areas like Mesquite, TX. It’s beneficial to review the background of each service provider to understand their familiarity with local pest issues, which can influence the effectiveness of their treatments.

Clear communication and well-defined expectations are essential when selecting an ant extermination provider. Reputable local pros typically provide detailed information about their methods, service scope, and any preparations needed before treatment. This transparency helps ensure homeowners understand what to expect and can plan accordingly, reducing potential misunderstandings or disruptions.

References from previous clients and reputable sources can offer valuable insight into a provider’s reliability and quality of service. Homeowners are encouraged to seek out reviews or ask for references to gauge the experiences of others in their community. Reliable communication channels, responsiveness, and professionalism are also indicators of a trustworthy local service provider, helping homeowners feel confident in their choice of an ant extermination specialist.

Get an Ants Extermination Service Quote

Property owners in Mesquite, TX use Ants Extermination Service services for practical projects around their homes and businesses. The sections below highlight everyday jobs and straightforward project options.

Ants Extermination Service
Ants Extermination Service

Ants extermination services in Mesquite, TX are commonly sought after by property owners dealing with persistent ant infestations in residential and commercial spaces. Common situations include discovering trails of ants in kitchens, bathrooms, or around outdoor areas, which can be a nuisance and a sign of larger colonies nearby. Property owners often turn to local pest control providers to identify the source of the problem and implement effective solutions to eliminate ants and prevent future invasions.

Additionally, residents and business owners may seek ant extermination when noticing increased activity during warmer months or after recent construction or landscaping projects. Ants can be drawn indoors by food, water, or shelter, making timely intervention important. Local service providers are available to assess the situation, recommend appropriate treatments, and help maintain a pest-free environment in homes and businesses throughout Mesquite.

Get an Ants Extermination Service Quote

How do ant extermination services work? Ant extermination services typically involve inspecting the property, identifying ant species and entry points, and applying targeted treatments to eliminate colonies and prevent future infestations.

Are the treatments safe for pets and children? Many local ant extermination providers use treatments that are safe when applied as directed; it is recommended to discuss safety concerns with the service provider during contact.

How long does an ant extermination treatment last? The duration of effectiveness varies depending on the treatment type and extent of the infestation, with some services offering ongoing monitoring or follow-up options.

Can ant extermination services prevent future infestations? Yes, professional treatments often include recommendations and strategies to reduce the likelihood of ants returning to the treated areas.

How do I prepare my home for ant extermination services? Preparation may involve clearing clutter, removing food and water sources, and informing the service provider of any visible ant activity to facilitate effective treatment.

Ants Identification and Prevention - Local pest control providers can assess your property to identify ant species and recommend effective prevention strategies.

Ant Extermination Treatments - Professionals offer targeted treatments to eliminate ant colonies and reduce future infestations around residential or commercial properties.

Inspection Services - Regular inspections by local experts can help detect early signs of ant activity and prevent larger infestations from developing.

Integrated Pest Management Plans - Customized plans combining multiple methods can help control ants while minimizing the use of pesticides.

Ants Extermination Service

Considering Ants Extermination Service for a property in Mesquite, TX? The sections above highlight common project types, practical options, and details that often shape the scope of work.

When you are ready, use the quote form to share a few details about your project. Local pros can review the basics and respond with options that match what you have in mind.

Get an Ants Extermination Service Quote

Ants Extermination Quotes

Our Trusted Partners
Cantu Pest Control
Orkin
Hawx Pest Control