Local Service Overview

Get Ants Extermination Service in Hutchins, TX

Ants extermination services for property owners in Hutchins, TX, and nearby areas address ant infestations, prevent future outbreaks, and handle residential and commercial pest control projects.

Hutchins, TX

Ants extermination services are essential for property owners in Hutchins, TX seeking to maintain a safe and comfortable environment. By addressing ant infestations promptly, property owners can prevent potential damage to structures, preserve the functionality of outdoor and indoor spaces, and reduce ongoing maintenance needs. Effective extermination helps to eliminate pests that can compromise the integrity of a property, ensuring it remains durable and inviting for residents, visitors, and tenants alike.

Choosing professional ant extermination services also enhances curb appeal by creating a clean, pest-free appearance around the property. Eliminating ants and their nests contributes to a more attractive exterior, which can positively influence property value and overall impression. Additionally, a pest-free environment supports peace of mind, allowing property owners to enjoy their spaces without concern over pest-related issues impacting safety or daily use.

Get Ants Extermination Service Quotes

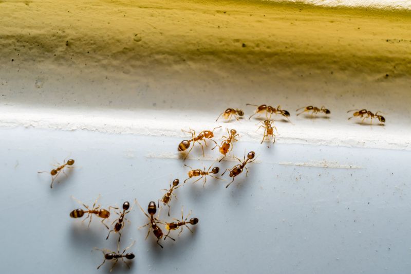
  • Ants Extermination - Needed when ants invade residential kitchens or outdoor gardens in Hutchins, TX and surrounding areas.
  • Ants Extermination - Required if persistent ant trails are found inside homes or commercial properties nearby.
  • Ants Extermination - Suitable when ant colonies are detected in yard areas or around building foundations in the local region.
  • Ants Extermination - Necessary for preventing ant infestations that threaten food storage or property integrity in nearby neighborhoods.
  • Ants Extermination - Essential when ant activity increases during warmer months in Hutchins, TX and neighboring communities.

Get Ants Extermination Service Quotes

Ants Extermination Service
Ants Extermination Service
Ants Extermination Service

Ants extermination services involve identifying and eliminating ant infestations within residential or commercial properties. Professional pest control providers typically conduct thorough inspections to determine the species of ants and locate their nests. Treatment methods may include the application of targeted baits, sprays, or dusts designed to eradicate the colony at its source. These services aim to reduce the presence of ants, prevent future invasions, and restore a pest-free environment.

Ant problems can cause significant nuisance and property damage, especially when colonies grow large or establish themselves indoors. Ants can contaminate food supplies, create unsanitary conditions, and sometimes damage structures by nesting within walls or under floors. Exterminators help address these issues by not only removing existing colonies but also implementing preventative measures to minimize the risk of recurring infestations.

Various types of properties utilize ants extermination services, including single-family homes, apartment complexes, restaurants, and retail stores. Residential properties often seek assistance when ants invade kitchens, bathrooms, or other living spaces. Commercial establishments, particularly those involved in food handling or storage, may require regular pest management to maintain hygiene standards and comply with health regulations. Property managers and business owners often rely on pest control professionals to manage ant problems effectively.

Professional ant extermination services typically involve a combination of inspection, targeted treatment, and follow-up assessments to ensure the infestation is fully addressed. Service providers customize their approaches based on the severity of the problem and the property type. Regular maintenance or preventative treatments may be recommended to keep ants from returning, especially in areas prone to infestations due to climate or property conditions. Contacting local pest control specialists can help property owners manage ant issues efficiently and maintain a pest-free environment.

The overview below groups typical Ants Extermination Service projects into broad ranges so you can see how smaller, mid-sized, and larger jobs often compare in Hutchins, TX.

In many markets, a large share of routine jobs stays in the lower and middle ranges, while only a smaller percentage of projects moves into the highest bands when the work is more complex or site conditions are harder than average.

Initial Inspection - The cost for an ant inspection typically ranges from $50 to $150, depending on the property size and complexity. This fee covers identifying ant activity and entry points to inform treatment strategies.

Per-Visit Treatment - Single-treatment services usually cost between $100 and $300, with prices varying based on the extent of infestation and treatment method used. Some providers may include follow-up visits in this price range.

Complete Ant Extermination - Full extermination packages, including multiple treatments and follow-up, generally fall within $200 to $600. Larger properties or severe infestations tend to be on the higher end of this range.

Preventive Services - Ongoing prevention or barrier treatments typically cost between $50 and $150 per month, depending on property size and the level of ongoing protection desired. These services aim to reduce future ant activity effectively.

Actual totals will depend on details like access to the work area, the scope of the project, and the materials selected, so use these as general starting points rather than exact figures.

Get an Ants Extermination Service Quote

Ants Extermination - Local pest control providers offer targeted treatments to eliminate ant colonies and prevent future infestations in residential and commercial properties.

Ants Prevention - Service providers can assess property conditions to identify and address entry points and attractants, reducing the likelihood of ant invasions.

Ants Inspection - Professionals conduct thorough inspections to locate ant nests and determine the extent of an infestation before treatment.

Ants Baiting - Local pros utilize baiting strategies to effectively control ant populations by attracting and eliminating colonies at the source.

Ants Barrier Treatments - Service providers apply barrier treatments around structures to create a protective zone against ant entry.

Ants Removal - Experts provide removal services to eradicate existing ant infestations and restore pest-free environments.

Ants Extermination Service

When selecting a professional for ant extermination services, experience is an important factor to consider. Homeowners should look for local service providers with a proven track record in handling ant infestations in areas similar to Hutchins, TX. A reputable provider will have a history of successfully managing pest issues, which can be an indicator of their familiarity with local ant species and effective treatment methods. Gathering information about their years in business and the types of properties they have served can help ensure that the chosen professional has the necessary background to address specific ant problems efficiently.

Clear communication and written expectations are essential when working with a pest control service. Homeowners should seek out providers who are transparent about the scope of services, treatment procedures, and any preparations needed before and after the appointment. A reputable local pro will be willing to provide detailed information in writing, helping to establish a mutual understanding of what the service entails. This clarity can prevent misunderstandings and ensure that homeowners are well-informed about the process and any follow-up steps that may be necessary.

Reputable references and reviews can offer valuable insights into the reliability and quality of a pest control provider. Homeowners are encouraged to ask for references or look for reviews from previous clients in the Hutchins area. Consistent positive feedback often indicates a provider’s professionalism and effectiveness. Additionally, good communication practices, such as prompt responses and willingness to answer questions, are signs of a trustworthy service provider. Since this is a lead-generation resource connecting homeowners with local pros, it’s important to verify these aspects directly with the providers to find a pest control specialist who aligns with specific needs and expectations.

Get an Ants Extermination Service Quote

Property owners in Hutchins, TX use Ants Extermination Service services for practical projects around their homes and businesses. The sections below highlight everyday jobs and straightforward project options.

Ants Extermination Service
Ants Extermination Service

Ants extermination services are commonly sought by property owners in Hutchins, TX, who are dealing with persistent ant infestations in residential or commercial spaces. These situations often arise when ants invade kitchens, pantry areas, or other parts of a property, creating nuisances and potential hygiene concerns. Local service providers can assess the extent of the problem and recommend targeted solutions to eliminate ant colonies and prevent future invasions.

Property owners may also seek ant extermination due to visible ant trails or increased activity around the property’s exterior and entry points. In some cases, ants may be attracted to food sources or water, leading to ongoing issues that disrupt daily routines. Professional extermination services can help address these common scenarios, providing effective treatments to restore comfort and maintain a pest-free environment in Hutchins, TX.

Get an Ants Extermination Service Quote

How do ant extermination services work? Ant extermination services typically involve inspecting the property to identify ant colonies and entry points, then applying targeted treatments to eliminate ants and prevent future infestations.

Are ant extermination treatments safe for pets and children? Many professional ant extermination options are designed to be safe for households with pets and children, but it’s recommended to discuss safety concerns with the local service provider.

How long does an ant extermination treatment take to be effective? The effectiveness of treatments can vary, but most services aim to reduce ant activity within a few days after application.

Can ant extermination services prevent future infestations? Yes, professional services often include recommendations for ongoing prevention to help reduce the likelihood of future ant problems.

How often should ant extermination services be scheduled? The frequency of treatments depends on the extent of the infestation and the advice of the local pest control professionals, but regular inspections may be recommended for ongoing prevention.

Ants Control Solutions - Local pest control providers offer targeted treatments to eliminate ant colonies and prevent future infestations.

Inspection and Identification - Professionals can assess property conditions to identify ant entry points and nesting sites.

Preventive Strategies - Experts recommend sealing entry points and removing attractants to reduce the likelihood of ant problems.

Ongoing Monitoring Services - Regular inspections help maintain a pest-free environment and address new ant activity promptly.

Ants Extermination Service

Considering Ants Extermination Service for a property in Hutchins, TX? The sections above highlight common project types, practical options, and details that often shape the scope of work.

When you are ready, use the quote form to share a few details about your project. Local pros can review the basics and respond with options that match what you have in mind.

Get an Ants Extermination Service Quote

Ants Extermination Quotes

Our Trusted Partners
Cantu Pest Control
Orkin
Hawx Pest Control